如果你的狗狗最近老是抓癢,皮膚出現紅腫、膿皰,那可能是毛囊炎在作怪。我處理過太多這種案例,很多飼主一開始都以為是小問題,拖久了反而更難搞。狗狗毛囊炎原因主要來自細菌感染、過敏反應和環境因素,但背後細節很多新手容易忽略。這篇文章我會用十年獸醫經驗,帶你拆解所有成因,並分享實用預防法。
什麼是狗狗毛囊炎?症狀與定義
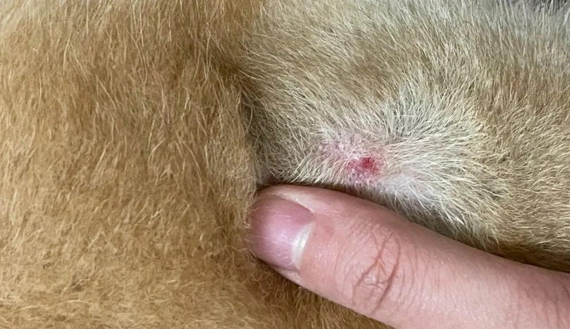
毛囊炎就是狗狗毛囊發炎,通常由細菌引起,但過敏或寄生蟲也會觸發。症狀包括皮膚紅斑、小膿皰、脫毛,狗狗會不斷抓舔。我遇過一隻米格魯,飼主以為只是濕疹,結果拖了兩個月變成慢性感染。關鍵在於早期發現,如果你看到狗狗特定部位反覆出問題,比如背部或腹部,就要警覺。
毛囊炎不是單一疾病,而是皮膚問題的表現。很多飼主誤以為擦擦藥就好,但沒找到根源,復發率很高。
狗狗毛囊炎的主要原因深度分析
毛囊炎原因可以分幾大類,但實務上常混在一起。我整理最常見的幾個,並用案例說明。
細菌感染:最常見的元兇
金黃色葡萄球菌是最常搞鬼的細菌。狗狗皮膚本來就有細菌,但當免疫力下降或皮膚受損,細菌就入侵毛囊。比如狗狗玩水後沒擦乾,潮濕環境讓細菌狂長。我記得有隻拉不拉多,飼主每周帶去游泳,但從不徹底吹乾,結果腋下和腳掌反覆發炎。
另一個微妙錯誤是過度洗澡。有些飼主用人類洗髮精,酸鹼值不對,破壞皮膚屏障。我甚至看過用洗碗精洗狗的,說去油效果好,簡直災難。
過敏反應:食物與環境過敏
過敏會讓狗狗皮膚癢,抓破後細菌入侵。食物過敏常見於牛肉、雞肉或穀物,環境過敏像花粉、塵蟎。我有個客戶的貴賓狗,每年春天就發作,後來發現是對家裡地毯的塵蟎過敏。
食物過敏測試不一定準,我建議做排除法飲食。從單一蛋白質開始,比如羊肉或鴨肉,觀察兩週。很多獸醫跳過這步直接開藥,但治標不治本。
環境因素:潮濕與衛生
台灣潮濕天氣是毛囊炎溫床。狗狗睡在不通風的墊子,或籠子沒清潔,容易滋生細菌。我遇過一個案例,狗狗睡在陽台,墊子每周才洗一次,結果背部全是膿皰。
還有寄生蟲問題,像跳蚤過敏性皮膚炎。跳蚤咬後狗狗猛抓,引發二次感染。定期除蟲很重要,但有些人只用噴劑,忘了環境清潔,跳蚤卵留在角落,問題一直回來。
其他原因:內分泌失調、免疫問題
甲狀腺功能低下或庫欣氏症會讓皮膚變脆弱,容易感染。老狗尤其要注意。我處理過一隻十歲的柴犬,毛囊炎反覆發作,檢查後才發現甲狀腺問題。這類原因常被忽略,因為症狀不明顯。
不要自行用抗生素藥膏。我見過飼主去藥局買人用藥膏,結果產生抗藥性,後續治療更麻煩。一定要先讓獸醫診斷。
如何預防狗狗毛囊炎?實用步驟
預防重於治療,但方法要對。我歸納幾個關鍵行動。
保持皮膚乾燥。洗澡後務必吹乾,特別是皺褶處像臉部或腳掌。用寵物專用吹風機,溫度別太高。我建議每周洗澡不超過一次,除非獸醫指示。
飲食管理。選擇低過敏飼料,或鮮食搭配。添加Omega-3脂肪酸,像魚油,有助皮膚健康。我自己的狗吃鮭魚和地瓜鮮食,皮膚狀況穩定很多。
環境清潔。狗狗床墊每周清洗,用熱水殺菌。避免潮濕角落,可以用除濕機。定期除蟲,包括環境噴灑。
還有,別忽略心理健康。壓力大的狗免疫力差,容易生病。多帶出門散步,提供玩具減壓。
毛囊炎的治療方法:家庭與獸醫建議
治療取決於原因。細菌感染通常用抗生素,但獸醫可能會做細菌培養,確保用對藥。過敏則需避開過敏原,或使用抗組織胺。
家庭護理方面,可以用溫和抗菌洗毛精,像含有氯己定的產品。但別天天洗,一周兩次就好。我遇過飼主每天洗,結果皮膚更乾更癢。
嚴重時,獸醫可能開類固醇減輕發炎,但長期使用有副作用。我通常建議搭配藥浴和局部藥膏。對於慢性案例,光療或雷射治療也有幫助。
記得,治療期間要戴頭套,防止狗狗舔咬。我見過狗狗把藥膏舔掉,還腸胃不適。
常見問題解答(FAQ)
總之,狗狗毛囊炎原因多樣,但掌握關鍵就能有效管理。從日常清潔到飲食調整,每一步都重要。如果你有疑問,最好諮詢獸醫,別自己亂試。皮膚問題需要耐心,但處理好,狗狗就能恢復活力。